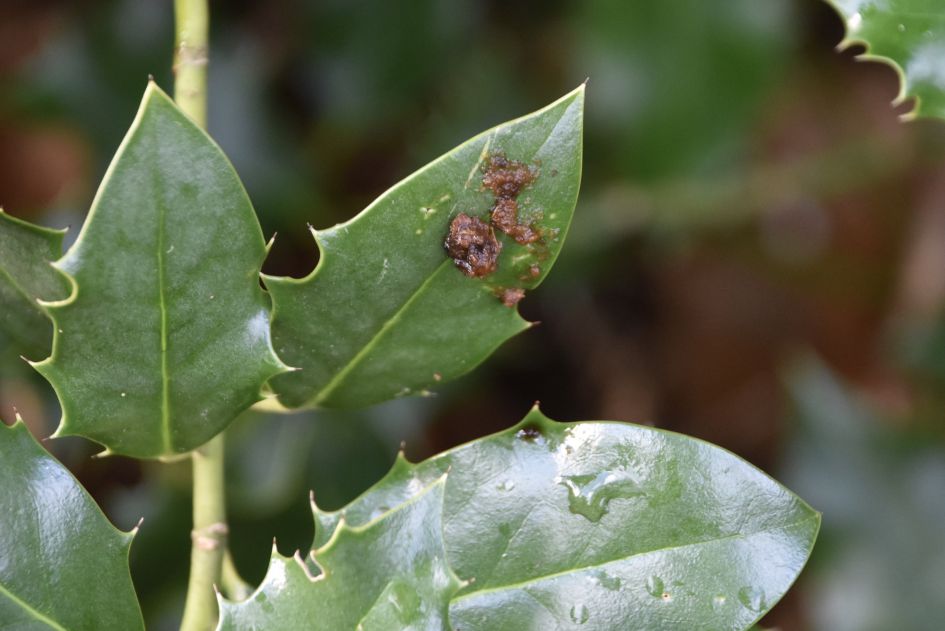
Wat mag dit wel zijn? jeanet1 Geplaatst op 17-01-2019 om 16:57 Deel op Facebook Deel op Twitter Op een blad op een hulst struik! Vanmiddag gefotografeerd.hartelijk dank voor het meedenken. Jeanet
jeanette Geplaatst op 17-01-2019 om 18:10 Zie mijn reactie op de andere vraag.Hier ontbreekt alleen een geel pitje.
Log in om te reageren
InloggenNog geen account? Registreer je nu
Reacties (2)
Dank je wel,
fijne zondag, Jeanet
Zie mijn reactie op de andere vraag.Hier ontbreekt alleen een geel pitje.